UPDATE – Sept 2022
We are pleased that this application has been refused.
“No degree of camouflaging of the mast would sufficiently reduce this impact. As such the proposal would be contrary to Policy 115 of the NPPF and Policies 23 and 28 of the Sutton Local Plan.”
It is a shame that LBS Strategic Director didn’t acknowledge that it was also contrary to Policy H&BEP1 of our Neighbourhood Plan in his letter, although it was in the Officer’s report.
It was good to see lots of residents taking the time to respond and that all helps in these decisions. Hopefully the company will get in touch with local groups the next time they want to put in an application, so we can work together to find a suitable location.
You will remember there was an application (DM2022/00869) for a 5G mast and cabinets for the centre of Hackbridge submitted in May 2021, which thankfully was rejected. However they have come back with another application with a ‘slim line’ pole instead!
Below you will find information about the application and our objection letter. We urge you to submit your own, as this is not the most suitable place for this equipment.
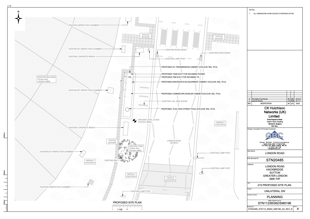
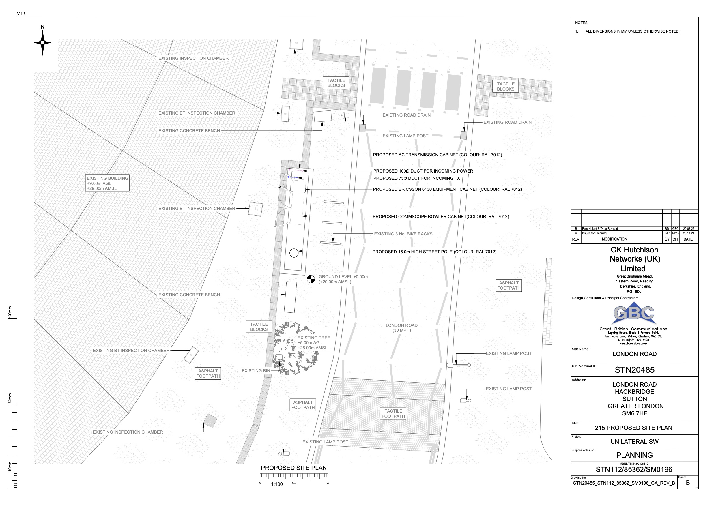
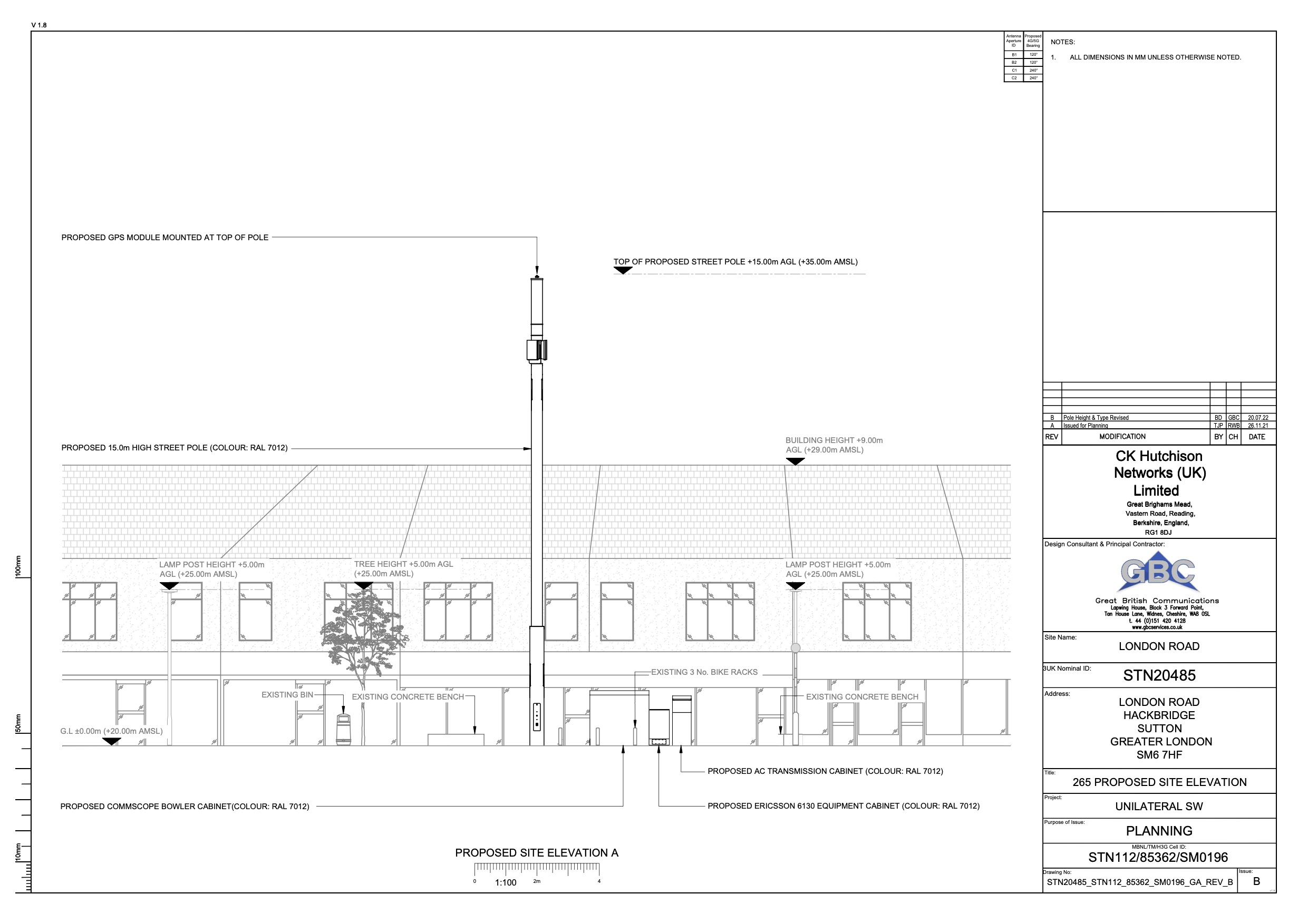
Planning Application DM2022/01419
Address: Outside Numbers 158 To 160 London Road, Hackbridge
Proposal: Prior Approval for the erection of a 15m high ‘slim line’ phase monopole c/w wraparound cabinet at base, 3no. additional ancillary equipment cabinets and associated ancillary works.
Previous refused proposal: Prior Approval for the erection of a 17m high monopole mast with wraparound Cabinet at base, 3 separate equipment cabinets and associated ancillary works on land opposite Mile Road.
Read the planning application
(If the link does not work for you, go to Sutton Council’s Portal and search using DM2022/01419)
Location of 5G mast & cabinets



How to submit feedback
Deadline – 1 September 2022
Online:
If you haven’t submitted an online response before, it is relatively easy. You need to register before you can comment.
- Click on the image below to open up the Sutton Council Planning Portal
- Click on ‘register’. Once you have registered, click on ‘login’
- Click on ‘search’ – ‘planning’ – ‘simple search’
- In the box entitled ‘enter keyword, reference number etc’, put in the planning application number.
- Near the top right is the button ‘make a comment’. Click on it and you should find your details already there.
- Click on ‘commenter type’ and pick ‘member of the public’
- Pick whether you object, support or neutral
- You can then add your comment text.
- When you have finished, click ‘submit’ and you should receive confirmation of your response by email. If you have issues, check to see if you have used any special characters like “%” and remove and try submitting again.
By post or hand deliver to:
Development Control
London Borough of Sutton
Civic Offices
St Nicholas Way
Sutton SM1 1EA
Ensure you use the correct planning reference in your letter.

Please note that we are not in favour of this mast
Hackbridge Spiritualist Church
Hi Ray
Thanks for letting us know. Please make sure you register your objection on Sutton Council’s planning portal.
Please no!! Surely there’s a better place for it to put that.