UPDATE – July 2022
We are pleased that the council have refused this application, with one of our policies being mentioned in the Officer’s report.
“The proposed developments siting and appearance by reason of the height, bulk and massing of the proposed mast and ground based equipment would be a dominant, imposing and overbearing form of development which would result in an overbearing feature within the surroundings. The proposal would result in harm to the character of the area and the setting of the residential properties surrounding the site. No degree of camouflaging of the mast would sufficiently reduce this impact. As such the proposal would be contrary to Paragraph 115 of the NPPF (2021), Policies 23 and 28 of the Sutton Local Plan (2018) and Policy H&BEP1 of the Hackbridge & Beddington Corner Neighbourhood Plan (2019).”
——————————————————————————
Back in July 2021 we told you that a 5G mast was proposed for outside All Saints Church on London Road, which thankfully was rejected.
Whilst we have said before that we all love to have the most up to date and fastest signal, is this really the most suitable location?
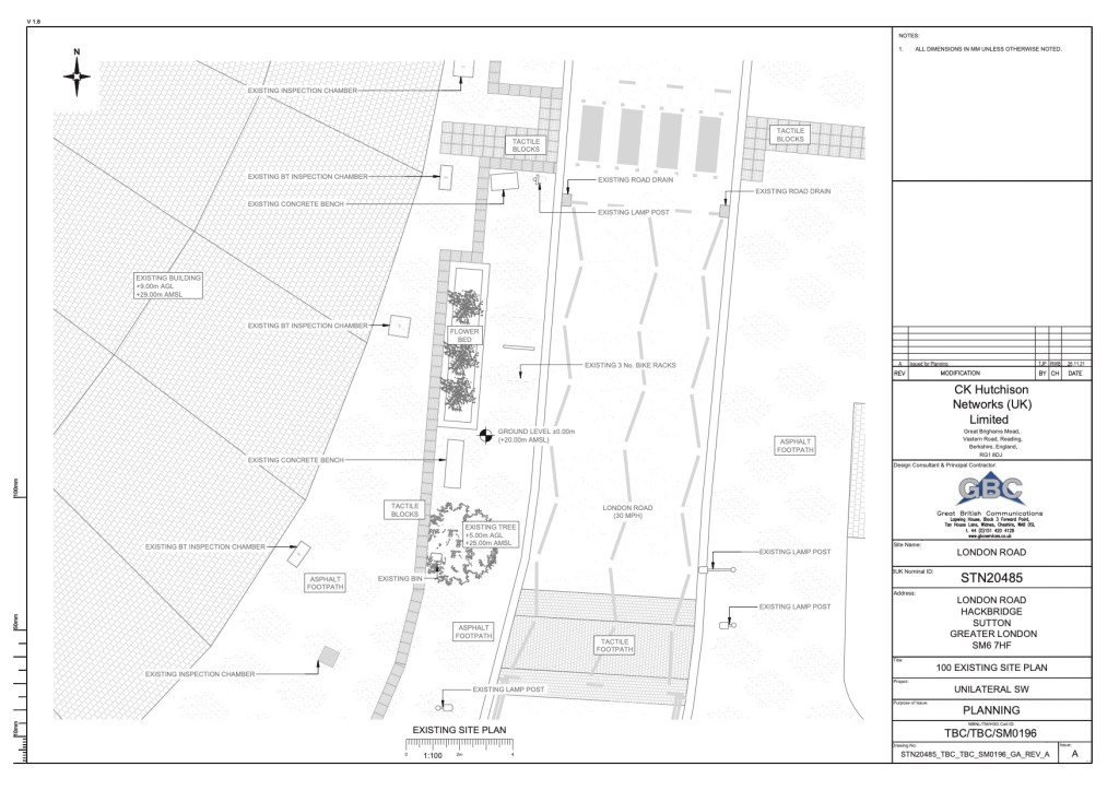
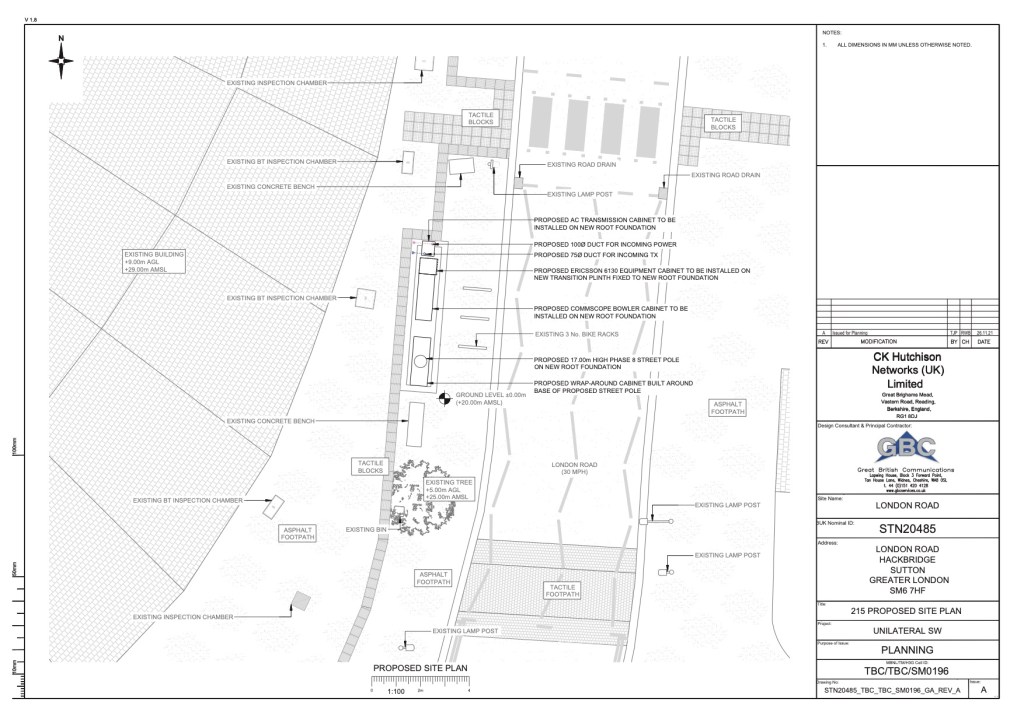
If we have interpreted the drawings below correctly, it appears that they propose putting the mast and cabinets on top of the ‘rain garden’ flower bed that we plan to plant up in the autumn and directly outside Jacob Beds shop.
Planning Application DM2022/00869
Address: Outside Numbers 158 To 160 London Road, Hackbridge
Proposal: Prior Approval for the erection of a 17m high monopole mast with wraparound Cabinet at base, 3 separate equipment cabinets and associated ancillary works on land opposite Mile Road.
Existing street scene


Proposed location



Read the planning application
(If the link does not work for you, go to Sutton Council’s Portal and search using DM2022/00869)
How to submit feedback
Deadline – 1 June 2022
(actual deadline is 6 June, but the planning portal is likely to be down between 2-5 June)
Online:
If you haven’t submitted an online response before, it is relatively easy. You need to register before you can comment.
- Click on the image below to open up the Sutton Council Planning Portal
- Click on ‘register’. Once you have registered, click on ‘login’
- Click on ‘search’ – ‘planning’ – ‘simple search’
- In the box entitled ‘enter keyword, reference number etc’, put in the planning application number.
- Near the top right is the button ‘make a comment’. Click on it and you should find your details already there.
- Click on ‘commenter type’ and pick ‘member of the public’
- Pick whether you object, support or neutral
- You can then add your comment text.
- When you have finished, click ‘submit’ and you should receive confirmation of your response by email. If you have issues, check to see if you have used any special characters like “%” and remove and try submitting again.

By post or hand deliver to:
Development Control
London Borough of Sutton
Civic Offices
St Nicholas Way
Sutton SM1 1EA
Ensure you use the correct planning reference in your letter.
This is a totally inappropriate place to site a mast. There are other places on the beddingon farmlands for example or nearby which would not have such a vidual impact for flats, houses and schools. It really will be an eyesore and greatly affect the local community. It coukd be located at hackbridge station where it is already industrial looking. Not located on the virtually on the doorstep on a school, shops etc. Brings the look of hackbridge right down.
Please ensure you respond to the application if you want your view heard. We personally don’t agree with the suggestion of Beddington Farmlands as this is a nature reserve currently being restored, but there is certainly a more suitable place than they have proposed.
Not happy about this at all. Environmentally unfriendly
Please make sure your views are made against the application and not just on our website.
Hackbridge is being totally ruined by EVERYTHING. This once delightful small hamlet is being destroyed. Now a Mast as well as the disgusting development at Felnex site imposing over residents in Wandle Rd. No privacy and consta yly being over looked. What is going on!.?
.
Please make sure your views are heard and submit them via Sutton’s Planning Portal.